Hurricane Matthew Satellite Images: A Visual Guide

V.Ijoomla 94 views
Hurricane Matthew Satellite Images: A Visual Guide

Hurricane Matthew Satellite Images: A Visual Guide

Hey guys! Ever wondered about Hurricane Matthew satellite images and what they can tell us? Let’s dive in! This article will serve as your ultimate visual guide, breaking down everything from the basics of how these images are captured to what they reveal about this powerful storm. We’ll explore the science behind it, how meteorologists use the data, and the impact Hurricane Matthew had on the world. Get ready for a deep dive into the swirling world of hurricanes, seen from the unique perspective of satellites. Buckle up, because we’re about to embark on a journey through the impressive visual data that paints a picture of nature’s raw power!

Understanding Hurricane Matthew and Satellite Imagery

First things first, what exactly was Hurricane Matthew? It was a truly massive and incredibly dangerous Atlantic hurricane that churned through the Caribbean and the southeastern United States in late 2016. It was a Category 5 hurricane at its peak, bringing incredibly strong winds, torrential rainfall, and devastating flooding. But how did we monitor and understand its intensity, path, and potential impact? That’s where satellite imagery comes in! These images are absolutely crucial for understanding and forecasting hurricanes. Satellites orbiting the Earth constantly collect data, providing meteorologists with a bird’s-eye view of developing weather systems. This allows them to track storms like Matthew, monitor their intensification or weakening, and provide timely warnings to those in the storm’s path. These images are captured using various instruments that detect different types of radiation – including visible light, infrared, and microwave radiation. Each type of radiation gives us a different piece of the puzzle. For example, visible light images show the storm as we would see it from space, with the swirling clouds and the eye of the hurricane. Infrared images, on the other hand, measure the temperature of cloud tops, allowing us to identify the areas of most intense thunderstorms and the potential for heavy rainfall. Microwave imagery can penetrate through the clouds, providing information about the structure of the storm, including the presence of heavy precipitation and the location of the eye. The data collected is then processed and analyzed by meteorologists, who use it to create forecasts and issue warnings. The resulting images are then shared with the public, allowing everyone to see the power and scale of the hurricane. Satellite imagery is, therefore, an indispensable tool for understanding and preparing for hurricanes, helping to save lives and protect property. We’ll explore different types of images and what they show us throughout this guide.

The Importance of Satellite Imagery for Hurricane Tracking

Satellite imagery is the cornerstone of modern hurricane tracking and forecasting. Before satellites, meteorologists relied on ground-based observations, which were limited in their coverage and ability to see over oceans. The introduction of satellites revolutionized the field, providing a continuous stream of data from areas that were previously inaccessible. This has allowed us to track hurricanes from their formation, providing early warnings and improved accuracy in forecasting their paths and intensity. The use of satellite imagery has led to significant improvements in forecasting models. By incorporating data from satellites, meteorologists can better understand the complex dynamics of hurricanes, including their interactions with the environment and the processes that cause them to intensify or weaken. This has resulted in more accurate forecasts, giving people more time to prepare for the storms and reducing the risk of loss of life and property. Moreover, satellite imagery plays a crucial role in post-storm analysis. After a hurricane has passed, satellite images can be used to assess the extent of the damage, identify areas of flooding, and evaluate the effectiveness of evacuation and other preparedness measures. This information is critical for improving future response efforts and building more resilient communities. Without a doubt, satellite imagery is absolutely essential for hurricane tracking, forecasting, and disaster response. It is a powerful tool that helps us to understand and mitigate the impacts of these devastating storms.

Decoding Different Types of Satellite Images

Alright, let’s get into the specifics! Satellite images come in various flavors, and each one offers a unique perspective on a hurricane. Think of them as different lenses through which we view the storm. Understanding these different types of images can provide a richer and more complete understanding of what’s happening. Each type of image provides different kinds of information, from cloud structure to temperature profiles. Let’s take a look at the most common types and what they reveal. We’ll start with the basics and delve into more advanced techniques. Get ready to level up your storm-watching game!

Visible Imagery: Seeing the Storm as It Is

Visible imagery is probably what you think of first when you think of satellite images. They’re basically like taking a photo of the Earth from space. These images use visible light reflected by the clouds and the Earth’s surface. They’re great for seeing the overall structure and appearance of the hurricane. We can see the shape of the storm, the size of the eye, and the swirling bands of clouds. You can also spot the direction of the storm’s movement and, in some cases, even the intensity of the storm based on the cloud patterns. However, there’s a major limitation: Visible images are only useful during daylight hours. At night, when there’s no sunlight to reflect, these images are useless. Therefore, visible imagery is often paired with other types of imagery to get a complete picture. This helps us understand the position and general structure of the hurricane. It’s like having a first look at the storm and getting a sense of its overall beauty and power. This helps meteorologists estimate the storm’s intensity and track its movement in real-time. In essence, visible imagery is our first glimpse into the hurricane and provides a crucial overview of the storm’s appearance.

Infrared Imagery: Measuring Cloud Temperatures

Infrared imagery measures the temperature of cloud tops. Colder cloud tops usually indicate higher clouds and more intense thunderstorms. These images are particularly useful for determining the intensity of a hurricane, as they can show us where the strongest thunderstorms are located. The color scheme often uses reds and yellows to represent the coldest, highest clouds, and blues and greens for the warmer, lower clouds. The benefit of infrared imagery is that it works both day and night, providing a continuous view of the storm. It lets us see the temperature distribution within the storm system. By observing these temperature differences, we can understand the storm’s overall dynamics and energy, even when it’s dark. This is crucial for tracking the storm’s development, as rapid changes in cloud top temperatures can be indicative of intensification or weakening. Infrared imagery gives us a vital tool for understanding the structure and intensity of a hurricane 24 7 . Infrared imagery is the backbone of hurricane monitoring, providing valuable insights into a storm’s behavior regardless of the time of day. This is one of the most used images when understanding the hurricane.

Water Vapor Imagery: Tracking Moisture and Circulation

Water vapor imagery shows the amount of water vapor in the atmosphere. This is super helpful for tracking the flow of moisture around the storm. These images can reveal the movement of air, the presence of dry air intrusions, and the overall circulation patterns in and around the hurricane. Dry air can be a hurricane’s enemy, as it can weaken the storm by evaporating the clouds. Water vapor imagery lets us see this dry air and how it’s affecting the storm. They help us understand the broader environment in which the hurricane is embedded. It is extremely useful in understanding the behavior of hurricanes, allowing meteorologists to see the distribution of moisture and the movement of air masses that influence the storm’s strength and path. These images often use a color scheme to represent varying levels of water vapor, with lighter colors indicating higher amounts of moisture and darker colors indicating drier conditions. By monitoring water vapor, we gain insights into the hurricane’s capacity for development and its interaction with surrounding weather systems. This helps us create a more complete and accurate picture of the hurricane and helps with forecasting.

Analyzing Hurricane Matthew’s Satellite Images

Now, let’s zoom in and focus on Hurricane Matthew itself. When we examine the satellite images from Matthew, we can see the power and impact of this major storm. From the swirling cloud patterns to the areas of intense rainfall, each image tells a part of the story. Understanding the specific features visible in these images can help us gain a deeper appreciation for the storm’s intensity and the challenges it posed. We’ll look at the specific imagery used, and what key features emerged during the storm. Let’s dive into what we can learn by studying Hurricane Matthew through satellite imagery.

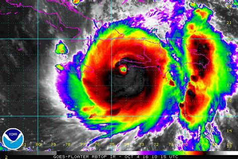
Visible and Infrared Perspectives of Matthew

During the passage of Hurricane Matthew , both visible and infrared imagery revealed the storm’s impressive structure. Visible images showed the classic hurricane shape, with a well-defined eye and tightly wound spiral bands. Infrared images highlighted the cold cloud tops around the eye, indicating very intense thunderstorms and heavy rainfall. In visible imagery, you could clearly see the eye of the hurricane, along with the swirling bands of clouds. These images helped meteorologists track the storm’s position and monitor its overall structure. The infrared imagery, on the other hand, was essential for evaluating the storm’s intensity. Extremely cold cloud top temperatures meant strong updrafts and the potential for heavy rainfall. By comparing the visible and infrared images, meteorologists could get a comprehensive understanding of Matthew’s dynamics. They could see how the storm was evolving in real-time. In combination, these images paint a clear picture of Matthew’s strength and potential impact. These images were crucial for monitoring the storm and issuing warnings to the public. Each image added another piece of the puzzle, allowing for more precise forecasting and disaster preparedness. Both the visible and infrared perspectives of Hurricane Matthew were essential in understanding the storm’s behavior, allowing scientists and the public to monitor the storm’s progression.

Water Vapor Imagery and the Storm’s Environment

Water vapor imagery provided a critical view of the atmospheric conditions surrounding Hurricane Matthew. The images showed the flow of moisture and the presence of dry air. These factors strongly influence the storm’s development and path. The imagery was essential for tracking the flow of moisture in and around Matthew. Areas of high moisture, appearing in lighter colors, indicated the regions where the storm had access to the fuel it needed to sustain itself. Dry air, shown in darker shades, could be seen intruding into the storm. This is key to understanding the storm’s intensity. The analysis of water vapor imagery helped meteorologists understand how the surrounding atmospheric conditions were influencing the storm’s evolution. It highlighted the regions where the storm had access to moisture and identified potential areas where the storm might weaken due to dry air intrusions. By studying this imagery, we could gain valuable insight into the overall environment. This comprehensive understanding of the environmental conditions was critical for accurate forecasting. Ultimately, the water vapor images added essential information to the understanding of the storm and its surroundings.

The Impact of Hurricane Matthew

Beyond just looking at images, let’s talk about the real-world impact of Hurricane Matthew. The storm caused widespread destruction across the Caribbean and the southeastern United States. These satellite images are critical in understanding and assessing the storm’s damage. We’ll explore the immediate aftermath, the long-term effects, and how these images helped in the recovery process. The devastation caused by Matthew serves as a stark reminder of the power of nature and the importance of being prepared for extreme weather events. The impact of Hurricane Matthew underscored the need for resilient infrastructure and the importance of accurate, timely weather forecasting.

Damage Assessment and Recovery Efforts

Satellite imagery played a critical role in the assessment of damage and the coordination of recovery efforts following Hurricane Matthew . After the storm passed, satellite images were used to identify areas that were most severely affected by flooding, storm surge, and high winds. This information was essential for directing rescue and relief efforts. The images provided a high-level view of the affected areas. It helped identify the regions where infrastructure had been destroyed, homes had been damaged, and people needed help. The images also assisted in the distribution of aid, including food, water, and medical supplies. Satellite imagery was utilized by emergency responders and aid organizations to effectively prioritize their response. These images were an indispensable tool in the recovery efforts, helping to focus resources and aid where they were needed most. During the post-storm period, the information gathered from satellite images was used to assess infrastructure damage, helping to guide repairs and rebuild efforts. In essence, satellite imagery was a critical tool in assessing the extent of the damage caused by Hurricane Matthew and coordinating the recovery efforts. This highlights the importance of satellite imagery in disaster management and response.

Long-Term Effects and Lessons Learned

The long-term effects of Hurricane Matthew highlighted several key lessons for disaster preparedness and response. Satellite imagery served a crucial role in assessing the long-term consequences. The storm demonstrated the importance of building resilient infrastructure. It also emphasized the need for comprehensive evacuation plans, and better communication with residents. Satellite data helped to identify areas that were particularly vulnerable to future storm events. This data influenced the development of improved building codes and more effective land use planning. The storm also emphasized the importance of community preparedness. Educating people on hurricane risks, establishing emergency supply kits, and practicing evacuation procedures are essential. Matthew’s impact reinforced the need for accurate and timely weather forecasts. It underscored the value of continuous investment in the technology and expertise required for hurricane prediction. In short, the long-term effects of Hurricane Matthew taught us valuable lessons about resilience and preparedness. These lessons are now an integral part of disaster management strategies.

Conclusion: The Power of Satellite Imagery

So there you have it, guys! We’ve taken a comprehensive look at Hurricane Matthew satellite images, from the types of imagery to the storm’s impact. These images aren’t just pretty pictures; they’re essential tools for understanding and responding to powerful storms like Matthew. They are key in helping us save lives, protect property, and prepare for the future. Hopefully, this guide has given you a deeper understanding and appreciation for these remarkable images. Remember, behind every satellite image is a wealth of scientific knowledge and a commitment to protecting lives. Keep your eyes on the skies, stay informed, and be prepared! The ability to understand and utilize this information is something that can protect us all. The power of satellite imagery is in its ability to inform, protect, and empower us in the face of nature’s most formidable challenges. Thanks for joining me on this journey. Stay safe, and keep learning!